
渦励振・塩害対策・FCを用いた大ブロック架設
徳島河川国道新町川橋上部工 橋長500m、鋼重は約9000tに達する長大橋
左岸側は2ブロックに分けて架設
旧護岸の積石部分が阻害要因 一部斜ベント用いる
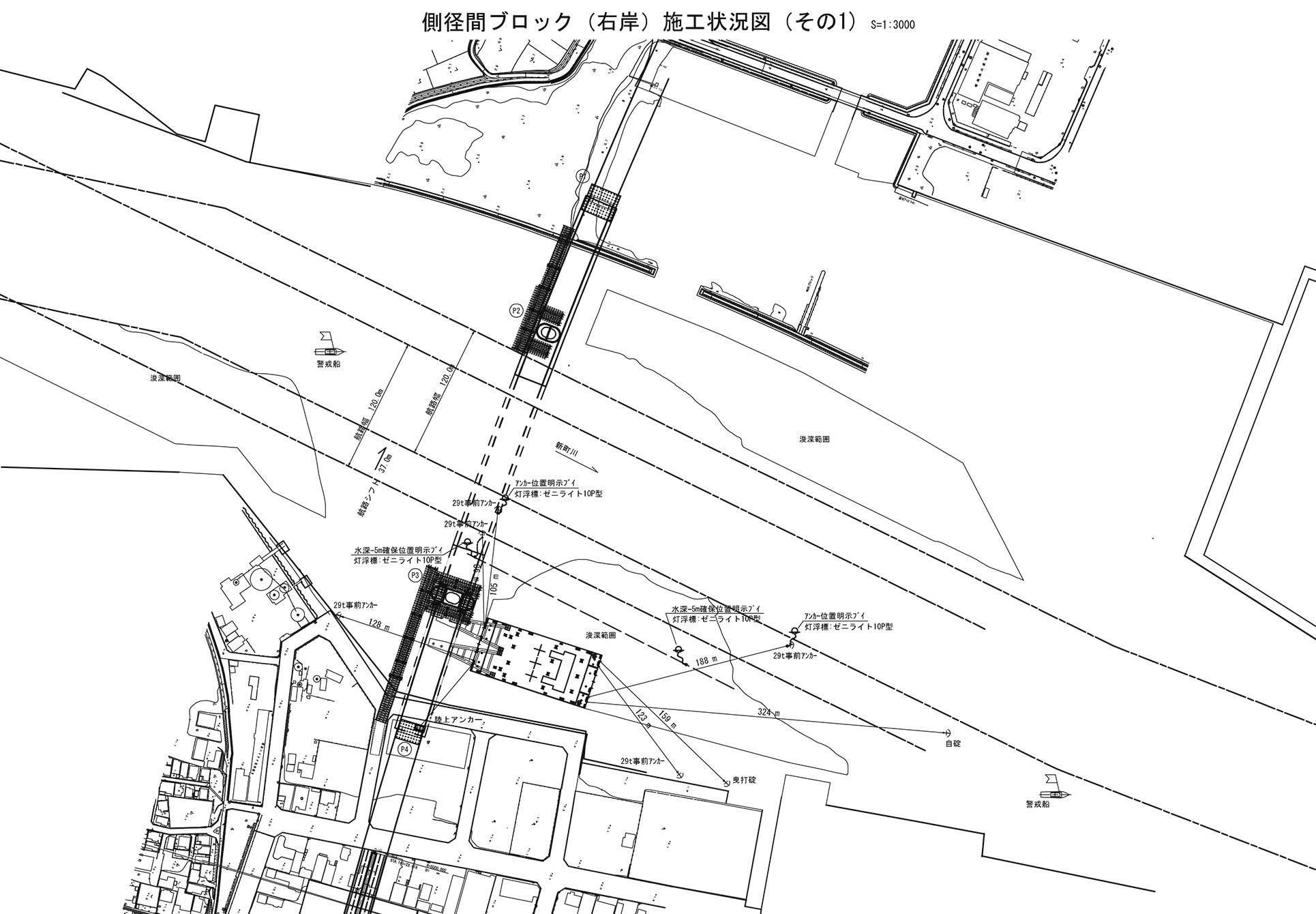
当初、左岸側の1、2回目のブロックは2つに分けず、一括で架設し、合計3回の架設という計画であった。しかし、FC船が入るため浚渫した際(本工事とは別発注)に、旧護岸の積石部分(河川に向かって斜めに入り込んでいる)が阻害要因となり予定通りの浚渫が困難となり、FC船が架設に必要な場所まで近づけないことが分かった。そのため、ブロックを小ブロックと大ブロックに分けて架設したもの。そのため、左岸には橋脚とベントにより2つの受け点があり、ベントも通常と異なり一部斜ベントを使っている。両ブロック間は前全断面溶接により接合している。3回目に施工した右岸側のブロックは、予定通り護岸の浚渫が行えたことから左岸のように2ブロックに分けることなく一括架設できた。左岸から先に架けたのは、右岸の大ブロック架設と並行して、左岸の小・大ブロック間の溶接を並行して行うため。



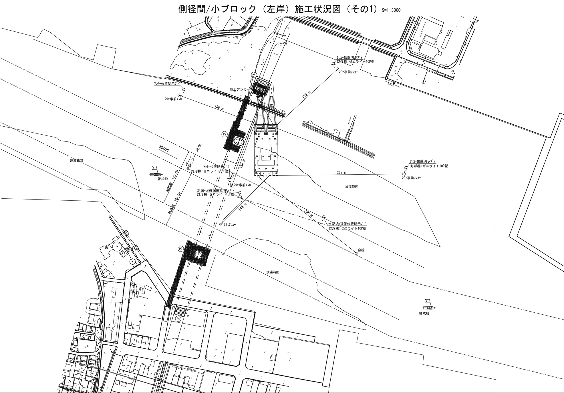
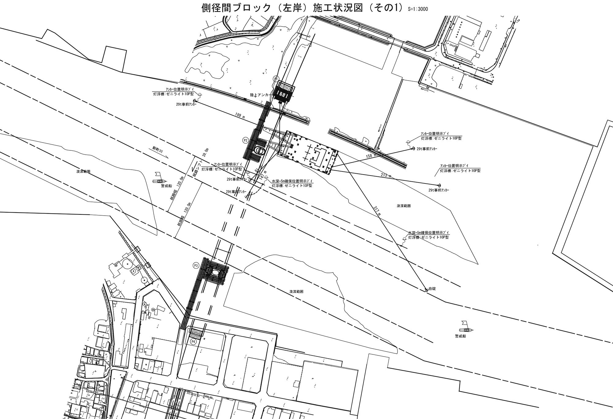
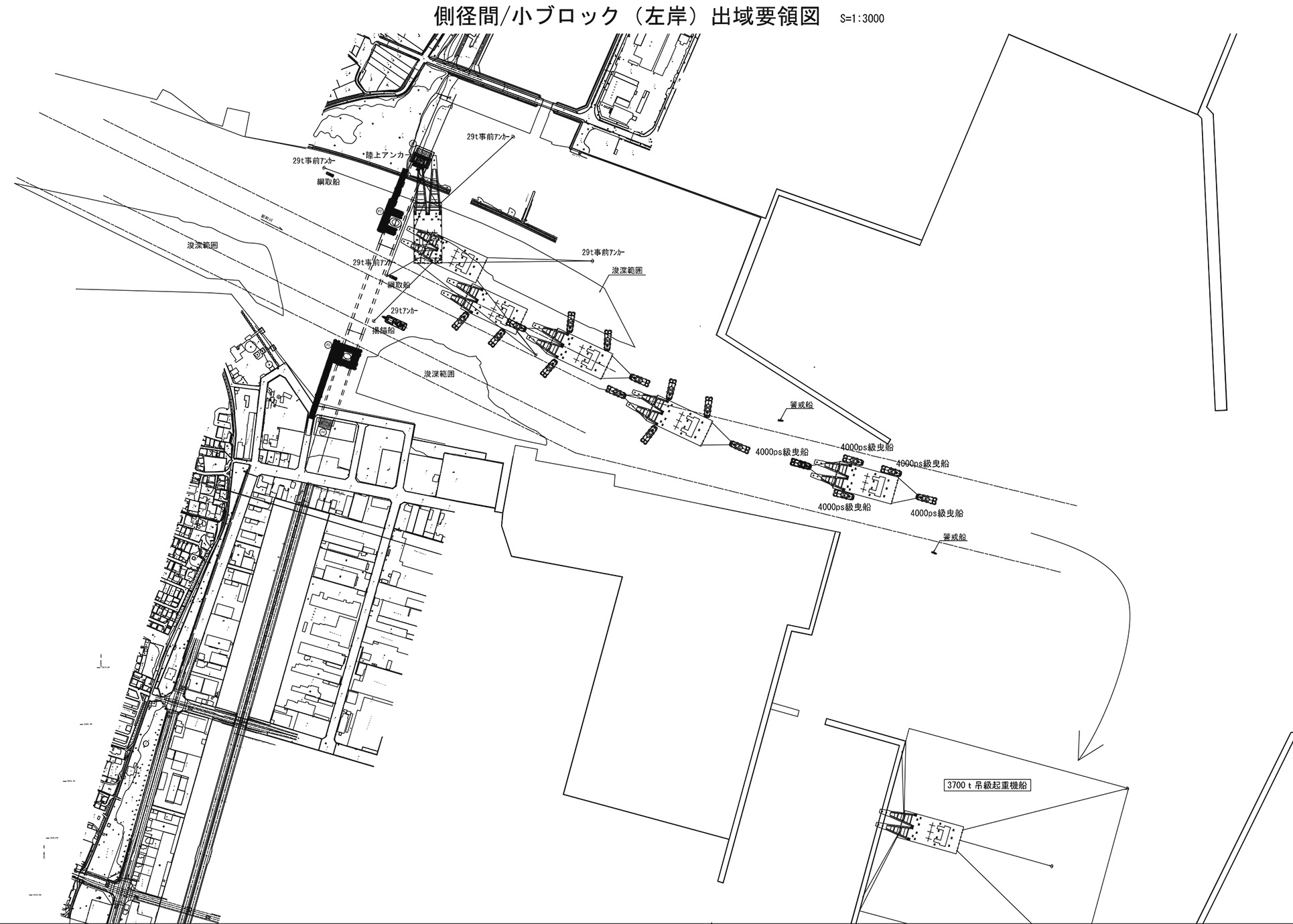
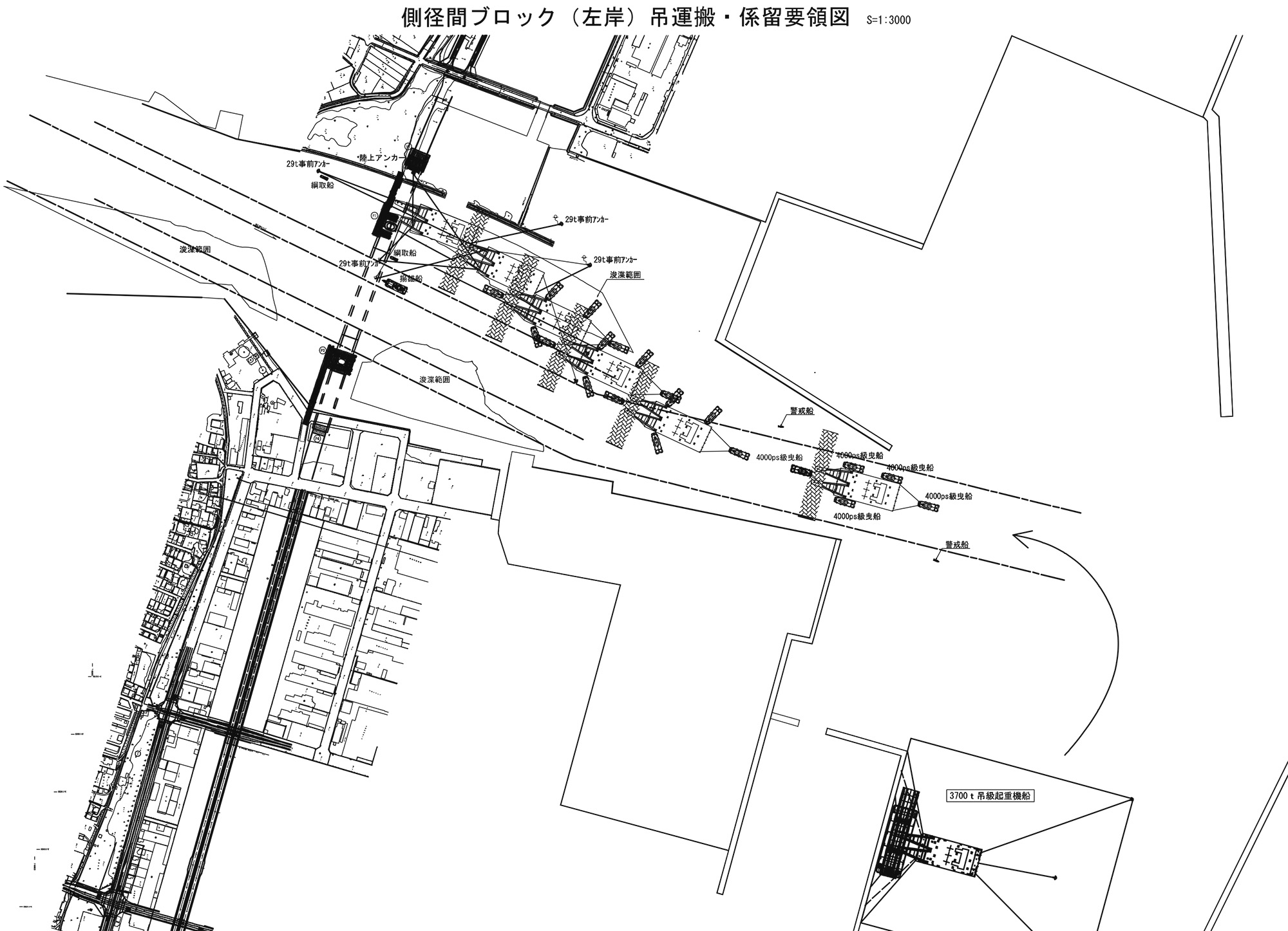
左岸側小ブロックの架設状況図(拡大して見て下さい)






左岸側小ブロック桁の架設状況



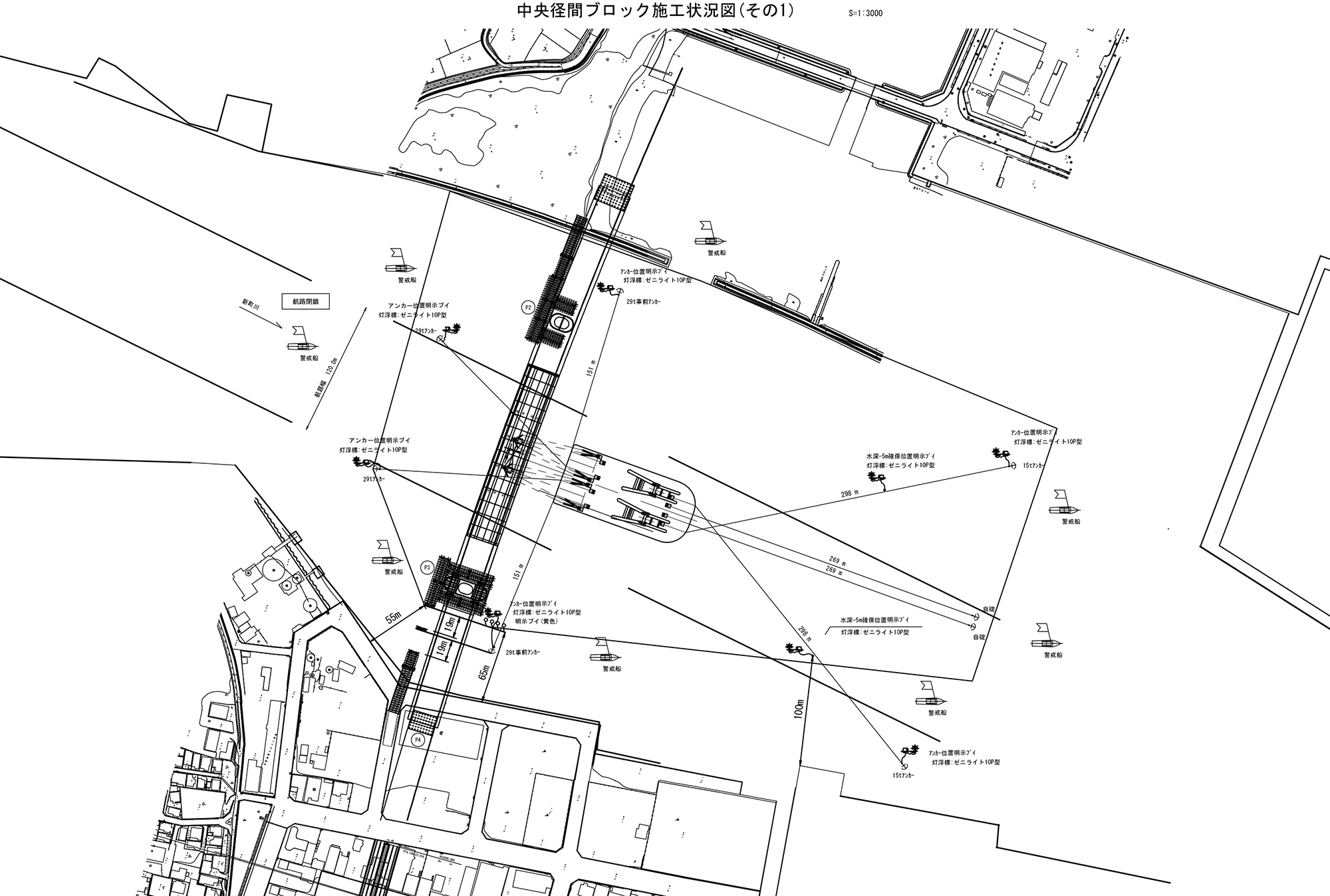
左岸大ブロック以降の架設状況図(拡大して見てください)




左岸側大ブロックの架設(井手迫瑞樹撮影、右下写真のみ大塚真紀氏撮影)




右岸側大ブロックの架設


右岸側ブロックの架設前と架設後状況
セットバックは片側のみ、しかも最小限
仕口形状とたわみによって生じた隙間を利用
最終ブロックの架設は、右岸側のブロックを50mmセットバックして余裕を作り、左岸側は正規の位置として落とし込んだ。具体的には、左岸側はJ16、右岸側はJ25で左右両ブロックと閉合するが、J16側は架設用のエレクションピースを固定し、J25は50mmセットバックとして仮連結した。セットバックを片側のみ、しかも最小限としたことで、「施工後のセットフォーの作業量を減らす」(同JV)ことができる。さらに中央径間ブロックの落とし込み時は、「側径間の仕口は両端(中央径間との接続部)とも上に反り返る様に逆ハの字になっている。そこに中央径間を落とし込むわけだが、これは下に向かって反っているため「ハ」の字型になっている。落とし込み桁には300~400mmのたわみも生じており、この仕口と50mmのセットバック、さらにたわみによって生じた隙間(遊間)を利用して」(同JV)スムーズに架設することができた。

中央径間大ブロック架設詳細図

側径間の仕口は両端(中央径間との接続部)とも上に反り返る様に逆ハの字になっている
(大柴功治撮影)

落とし込む中央径間桁は、下に向かって反っているため「ハ」の字型になっている。
落とし込み桁には300~400mmのたわみも生じている。(大柴功治撮影)
落とし込み後はセッティングビームに徐々に荷重を預けながら荷重受点を水平移動してたわみをとり、架設完了時には仕口が鉛直になるように設計されている。加えて、解析により、変則な断面の変形形状、ねじれやセッティングビームによる変形の影響を考慮し、仕口角度および製作キャンバーを設定し、さらに桁内にセンターホールジャッキを仕込んで、仕口の調整を可能にした。
その上で、両側の溶接を行っていくが、これも地組時に溶接要領の検討を行い、その結果および実績を反映して、現場溶接を行った。


現場溶接状況
現場接合は、腐食を考慮して外周面を全断面現場溶接にしているが、鋼桁自身の鋼重を軽減させるために内面のウェブ材も現場溶接としている。ただし、施工性を考慮して水平垂直補剛材や縦リブは全てTCBによる添接とした。
3ブロックは『武蔵』 中央閉合部のみ『海翔』
大ブロックはいずれも16点吊り
最終ブロックの吊荷重は、3,400t超と新町川橋の架設4ブロック中最大である。桁そのものの重量は、3ブロック目より軽いものの、セッティングビームなど付属する治具が多いためだ。そのため、当JVは、全てのFC架設を『武蔵』で行う予定であったが、「最終的な重量積算をすると本ブロックの架設のみは『武蔵』では施工できないことが分かった」(同)。単純な重量だけ見れば、最終ブロックの重量は『武蔵』の定格荷重以下に収まるが、「架設に使うフック(4点、1点当たり925t)それぞれに懸かる個別荷重を算出した結果、平面形状のRによって、若干であるが、重量バランスが偏ることが分かり」(同)、個別フックによっては定格荷重を超過することから、日本最大のFC船である寄神建設の『海翔』を用いた(『海翔』も4フックだが、1点当たりは1,025tとなる)。ちなみに吊り点は、最小の1ブロックのみ8点吊りとし、それ以外の3ブロックは16点吊りとした。それでも吊重量は『海翔』の定格荷重の84%に達する重量であるため、施工には慎重さが求められた。

施工当日、最終ブロック架設前の新町川橋(大柴功治撮影)
架設する最終ブロックは多度津から台船に載せて輸送し、新町川右岸から2kmほど離れた水切り場として確保している岸壁に停泊。架設日前日(4日)には朝からFC船を用いて玉掛け作業を行った。(右写真、大柴功治撮影)
架設当日は、7時から吊上げ作業を開始、7時半過ぎにはFC船の係留を解除した。新町川橋上流の徳島港から8時に出港した南海フェリーの通過を待ち、8時15分過ぎから係留地から架設地まで約2kmの吊曳航を始めている。なお、航路は21時まで全面封鎖を行った。9時頃からワイヤーによる曳航のための作業を行い、10時から所定位置まで前進してブロックを吊り下ろしていった。橋軸方向、橋軸直角の調整を行いながら、13時半にはセッティングビームを架設済みブロック上に設置したジャッキにタッチさせ、荷重を預け終えた後、FC船側の荷重を開放して玉掛けを外す作業を行った。



吊曳航し、徐々に架設地点へ近づいていく(大柴功治撮影)






桁の角度を調整しながら進んでいく(大柴功治撮影)


桁位置を合わせて慎重に降下させていった(大柴功治撮影)


ほぼ架設が完了した状況(大柴功治撮影)

眉山から望んだ最終ブロック架設状況(大柴功治撮影)
今後は風防の中で溶接および添接を行い、さらに剛結部の現場塗装などを施していく。防食仕様は基本的に重防食塗装を採用した(メーカーは日本ペイント)。

現在の新町川橋の施工状況
元請は川田工業・横河ブリッジ・MMBJV。一次下請は架設工が深田サルベージ建設、河内橋梁。溶接工が島川工業。海上輸送工が大新土木。重機工が佐々木運輸機工。ジャッキ工が大瀧ジャッキ。防護柵製作・設置工が大久保産業。架設工の二次下請は寄神建設。










